Autoridades advierten de inundaciones catastróficas y deslizamientos mientras el huracán se acerca a la isla.
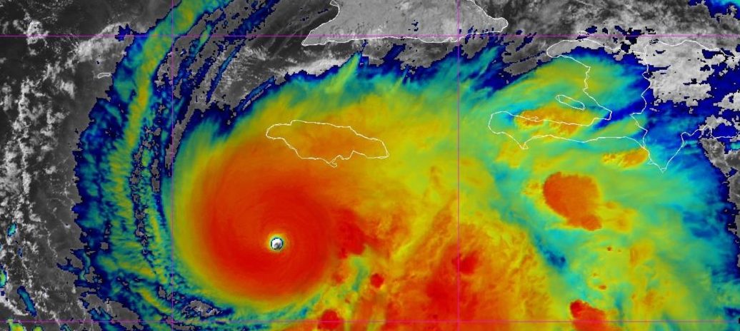
El huracán Melissa se fortaleció este lunes hasta alcanzar la categoría 5, con vientos sostenidos de 260 kilómetros por hora, mientras avanza lentamente hacia Jamaica, donde se prevén lluvias torrenciales, deslizamientos y daños generalizados en la infraestructura. De concretarse el pronóstico, sería el ciclón más potente en golpear directamente la isla desde que existen registros, en 1851.
El Centro Nacional de Huracanes (NHC, por sus siglas en inglés) informó que el fenómeno se encontraba a 220 kilómetros al suroeste de Kingston y avanzaba hacia el oeste a una velocidad de apenas 5 kilómetros por hora. Las autoridades locales ordenaron evacuaciones obligatorias en siete comunidades propensas a inundaciones y dispusieron autobuses para trasladar a los habitantes a refugios seguros.
El lento desplazamiento del ciclón ya ha provocado seis muertes en el Caribe: tres en Haití, dos en Jamaica y una en República Dominicana, además de una persona desaparecida.
"Quiero pedir a los jamaicanos que se tomen esto en serio", dijo Desmond McKenzie, vicepresidente del Consejo de Gestión de Riesgos de Desastres. "No jueguen con Melissa. No es una apuesta segura".
El jefe de meteorología de AccuWeather, Jonathan Porter, advirtió que el oleaje podría elevarse hasta cuatro metros sobre el nivel del mar en la capital jamaiquina, donde se ubican el principal aeropuerto y las plantas de generación eléctrica. "Esto puede convertirse rápidamente en una verdadera crisis humanitaria, con necesidad de apoyo internacional", alertó.
Algunas zonas del este de Jamaica podrían recibir hasta un metro de lluvia por metro cuadrado, mientras que en el oeste de Haití se esperan hasta 40 centímetros, según el NHC. "Es probable que se produzcan inundaciones repentinas catastróficas y numerosos deslizamientos de tierra", señaló el organismo.
El Servicio Meteorológico de Jamaica indicó que Melissa sería el primer huracán de categoría 4 o superior en tocar tierra en la isla en décadas. "Las labores de limpieza y evaluación de daños serán muy complicadas por los deslizamientos y las carreteras bloqueadas", advirtió su director, Evan Thompson. Recordó que Gilbert alcanzó categoría 3 en 1988, mientras que Ivan y Beryl, aunque llegaron a categoría 4, no impactaron directamente el país.
Tras su paso por Jamaica, Melissa se dirigirá a Cuba, donde se espera un segundo impacto este martes en la región oriental. El gobierno cubano emitió alerta de huracán para las provincias de Granma, Santiago de Cuba, Guantánamo y Holguín, mientras que Las Tunas permanece bajo advertencia de tormenta tropical. Se prevén lluvias de hasta 50 centímetros y marejadas considerables en las costas.
La tormenta también afectó la isla La Española. En República Dominicana, las autoridades mantuvieron cerradas las escuelas y oficinas gubernamentales en cuatro provincias bajo alerta roja. Más de 750 viviendas resultaron dañadas, 3.760 personas debieron desplazarse y al menos 48 comunidades quedaron aisladas.
En Haití, las inundaciones arrasaron cultivos en tres regiones agrícolas, incluidas 15 hectáreas de maíz. La Organización de las Naciones Unidas para la Alimentación y la Agricultura (FAO) advirtió que el desastre "obstruye el acceso a tierras y mercados, y pone en riesgo la temporada agrícola de invierno", en un país donde más de la mitad de la población enfrenta niveles críticos de hambre.
El huracán continuaría rumbo norte tras pasar por Cuba, con posibilidad de afectar el sureste de Bahamas y las islas Turcas y Caicos, donde también se mantiene una alerta de huracán.
